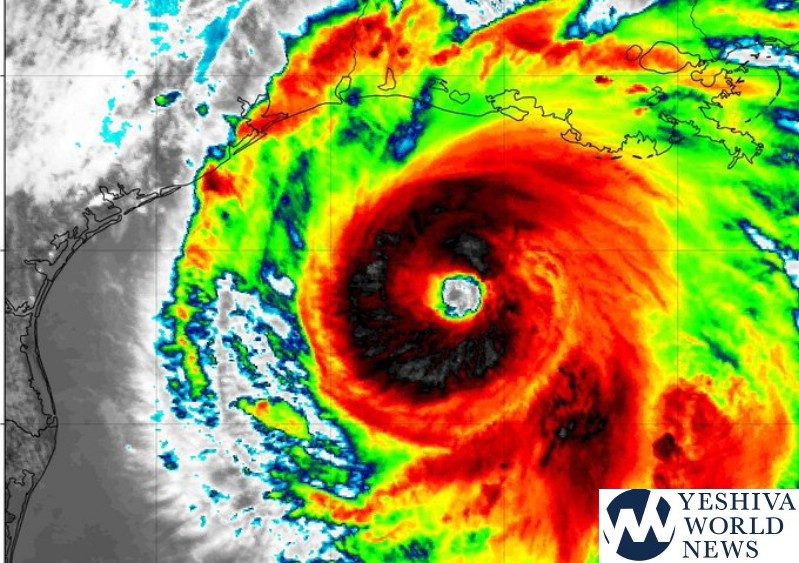
Laura strengthened Wednesday into a menacing Category 4 hurricane, raising fears of a 20-foot storm surge that forecasters said would be “unsurvivable” and capable of sinking entire communities. Authorities implored coastal residents of Texas and Louisiana to evacuate and worried that not enough had fled.
The storm grew nearly 70% in power in just 24 hours to a size the National Hurricane Center called “extremely dangerous.” Drawing energy from the warm Gulf of Mexico waters, the system was on track to arrive late Wednesday or early Thursday as the most powerful hurricane to strike the U.S. so far this year.
“It looks like it’s in full beast mode,” said University of Miami hurricane researcher Brian McNoldy. “Which is not what you want to see if you’re in its way.”
One major Louisiana highway already had standing water as Laura’s outer bands moved ashore. Winds began picking up as shoppers rushed into a grocery store in low-lying Delcambre, filling carts with chips and beer. Austin Domingues, 26, said his wife would likely evacuate, but he planned to stay put at his father’s farm, where the house is 14 feet off the ground.
“I don’t know if it’s too smart, but we’re going to stay just in case we need to help people out,” he said.
With time running out, both Texas Gov. Greg Abbott and Louisiana Gov. John Bel Edwards expressed concerns that not enough coastal residents were taking the dire predictions seriously. In Lake Charles, National Guard members drove school buses around neighborhoods, offering to pick up families.
Abbott warned that families who do not get out of harm’s way could be cut off from help long after the storm makes landfall overnight.
The National Hurricane Center kept raising its estimate of Laura’s storm surge, from 10 feet just a couple of days ago to twice that size — a height that forecasters said would be especially deadly.
https://twitter.com/Breaking911/status/1298701927270817794?s=20
A Category 4 hurricane can cause damage so catastrophic that power outages may last for months in places, and wide areas could be uninhabitable for weeks or months. The threat of such devastation posed a new disaster-relief challenge for a government already straining to deal with the coronavirus pandemic.
By Wednesday afternoon, Laura had maximum sustained winds of 140 mph (225 kph) as it churned about 200 miles (320 kilometers) from Lake Charles, Louisiana, moving northwest at 16 mph (26 kph). Forecasters predict winds will reach at least 145 mph winds but may weaken ever so slightly before landfall.
“Heed the advice of your local authorities. If they tell you to go, go! Your life depends on it today,” said Joel Cline, tropical program coordinator at the National Weather Service. “It’s a serious day and you need to listen to them.”
On Twitter, President Donald Trump also urged coastal residents to heed local officials. Hurricane warnings were issued from San Luis Pass, Texas, to Intracoastal City, Louisiana, and reached inland for 200 miles (322 kilometers). Storm surge warnings were in effect from Freeport, Texas, to the mouth of the Mississippi River.
In the largest U.S. evacuation during this pandemic era, more than half a million people were ordered to flee from their homes near the Texas-Louisiana state line, including the Texas cities of Beaumont, Galveston and Port Arthur, and the low-lying Calcasieu and Cameron parishes in southwestern Louisiana, where forecasters said storm surge topped by waves could submerge entire towns.
Edwards lamented that the impending storm meant suspension of community testing for COVID-19 at a crucial time — as elementary and secondary schools in Louisiana are opening and students are returning to college campuses. “We’re basically going to be blind for this week,” Edwards said, referring to the lack of testing.
The storm also forced evacuations from an area of the state where there has been a high rate of positive tests.
A National Weather Service meteorologist in Lake Charles, Louisiana — in the bullseye of Laura’s projected path — took to Facebook Live to deliver an urgent warning for people living south of Interstate 10 in southwest Louisiana and southeast Texas.
“Your life will be in immediate and grave danger beginning this evening if you do not evacuate,” Donald Jones said.
Laura is expected to dump massive rainfall as it moves inland, causing widespread flash flooding in states far from the coast. Flood watches were issued for much of Arkansas, and forecasters said heavy rainfall could arrive by Friday in parts of Missouri, Tennessee and Kentucky. Laura is so powerful that it’s expected to become a tropical storm again once it reaches the Atlantic Ocean, potentially menacing the Northeast.
Even before dawn Wednesday, officials in Austin said the city had run out of free hotel rooms to offer evacuees and had begun directing families fleeing the storm to a shelter nearly 200 miles farther north. In Texas’ Hardin County, which has more than 57,000 residents along the coast, officials warned that anyone who tried riding out the storm faced days or weeks without electricity.
Becky Clements, 56, evacuated from Lake Charles after hearing that it could suffer a direct hit, almost exactly 15 years after Hurricane Rita destroyed the city. She and her family found an AirBnb hundreds of miles inland.
“The devastation afterward in our town and that whole corner of the state was just awful,” Clements said. “Whole communities were washed away, never to exist again. … So knowing how devastating the storms are, there was no way we were going to stay for this.”
Clements, a church educator, said she fears for her office, which is in a trailer following recent construction.
“I very much anticipate that my office will be gone when I get back. It will be scattered throughout that field.”
The hurricane also threatens a center of the U.S. energy industry. The government said 84% of Gulf oil production and an estimated 61% of natural gas production were shut down. Nearly 300 platforms have been evacuated. Consumers are unlikely to see big price hikes however, because the pandemic has decimated demand for fuel.
“If Laura moves further west toward Houston, there will be a much bigger gasoline supply problem,” Oil analyst Andrew Lipow said, since refineries usually take two to three weeks to resume full operations.
Laura closed in on the U.S. after killing nearly two dozen people on the island of Hispaniola, including 20 in Haiti and three in the Dominican Republic, where it knocked out power and caused intense flooding.
(AP)
 
				 
											 Join the official YWN WhatsApp status
Join the official YWN WhatsApp status
 
								 
								 
								 
								 
								 
								 
								 
								 
								