Police had to remove a woman who brought an “emotional support squirrel” on a Frontier Airlines flight headed from Orlando, Florida, to Cleveland. Frontier says the passenger had noted in

America's biggest sore loser Hillary Clinton is now throwing herself back into the political fray and once again demonizing conservatives.

A Jerusalem police spokesman on Wednesday, 1 Marcheshvan, announced that the investigation into a fire in a Beit Shemesh shul during Sukkos has led to the arrests of three suspects.

Due to popular demand, Rabbi Shimon Bentov Shlita, a special Mekubal from Jerusalem, the esteemed Mekubal and Mezuzah see-er, the son of Rabbi Moshe Bentov Z”L, will once again be

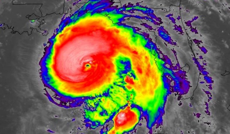
While tens of thousands were busying themselves with storm prep or heading out of town to escape the worst of Hurricane Michael – now approaching the Florida Panhandle as Category

Senate Majority Leader Mitch McConnell said Wednesday that “nobody’s going to beat” Republican Sen. Lisa Murkowski of Alaska despite her opposition to Brett Kavanaugh’s Supreme Court nomination. In an interview

President Donald Trump is stepping up his attack on Democrats over a health care proposal called Medicare for All, claiming it “would end Medicare as we know it and take

(VIDEO AND PHOTOS IN EXTENDED ARTICLE) In Betar Illit, neighbors are trying to recover from the horrific evening that took place on Tuesday night, after a fire that broke out

Marking five years since the petira of Maran HaGaon HaRav Ovadia Yosef ZT”L, children from the Shas-affiliated Bnei Yosef education network will be bussed to Jerusalem’s Arena Stadium for a

Surveillance footage aired by Turkish media on Wednesday purports to show a team of Saudis arriving in Istanbul the day Jamal Khashoggi went missing, a black van leaving the Saudi

We will spend the full weekend at the Five Star Grand Hotel Excelsior Vittoria Sorrento,  with gourmet Glatt Kosher Catering and lively entertainment. Day-trips will include Sorrento, Pompeii, a day in

Four weeks out from Election Day, Democrats remain well ahead of Republicans in a generic ballot matchup, with 54% of likely voters saying they support the Democrat in their district

In the latest shake-up for President Donald Trump’s turbulent administration, U.N. Ambassador Nikki Haley abruptly announced she is resigning at the end of the year, raising questions about who will

Agudath Israel of America expresses its appreciation to Ambassador Nikki Haley, whose service in the United Nations over the past nearly two years has been exemplary. Ambassador Haley’s voice was

Israeli Prime Minister Benjamin Netanyahu has nominated a University of Pennsylvania business school professor to be the next chief of Israel’s central bank. Netanyahu said Tuesday that Amir Yaron is

Chants of “Lock her up!” rang once again throughout an Iowa arena as President Donald Trump rallied supporters Tuesday night. But this time, the staple of Trump’s 2016 campaign against

A Tel Aviv District Rabbinate-affiliated beis din ruled that a man who is a violent alcoholic is compelled to give his wife a Get immediately despite the fact she was

Google’s new Pixel phones mirror an industry trend toward lusher, bigger screens and add twists on the camera for better pictures. The third generation of Pixel phones unveiled Tuesday at

Gaining fury with every passing hour, Hurricane Michael closed in Wednesday on the Florida Panhandle with potentially catastrophic winds of 150 mph, the most powerful storm on record ever to

The Beitar community was shaken to its core on Tuesday night, as an uncontrollable blaze ripped through the home of the Ginsburg family, claiming the lives of 4-year-old Efrat, and

Popular Posts